Космодром на мысе Канаверал имеет массу достоинств, из которых самыми главными являются сравнительно небольшое начальное наклонение орбиты и море к востоку, куда можно без проблем ронять отработанные ступени. Но у каждого места есть свои недостатки. Полуостров Флорида регулярно оказывается на пути ураганов, и сейчас рядом с ним проходит ураган «Ирма». Как космический центр Кеннеди встречает ураганы, и какой урон они наносили раньше?

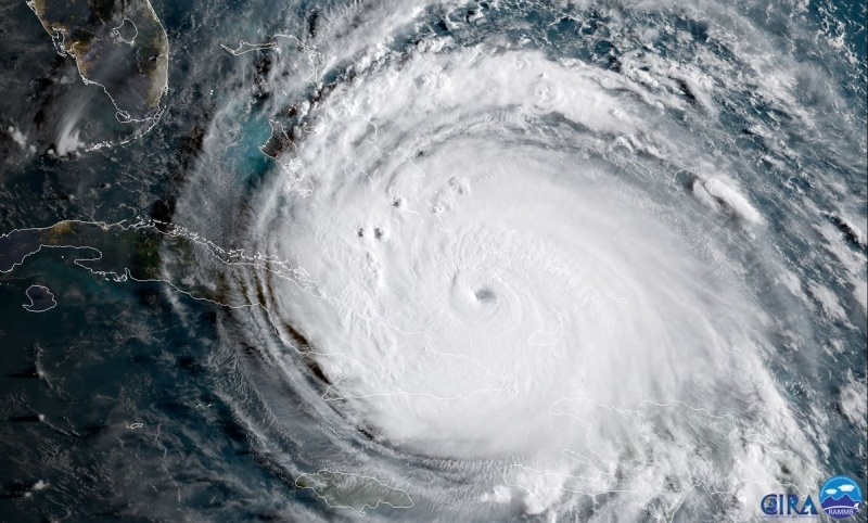
Спутниковое фото урагана «Ирма», пятница, полуостров Флорида в левом верхнем углу, фото NOAA
Район, где находится космический центр Кеннеди (KSC), по статистике подвергается средней опасности — основная часть ураганов проходит южнее.

Источник: NOAA
Поэтому архитекторы спроектировали строения KSC готовыми выдерживать удары ураганов третьей категории (ветер до 180 км/ч).

VAB — Vehicle Assembly Building (здание вертикальной сборки), OPF — Orbiter Processing Facility (ангары подготовки шаттлов к полету), LCC — Launch Control Centre (центр управления запуском), ветер в милях в час. Источник: документ NASA 2006 года
Решение оказалось в целом верным, но в 1992 году юг Флориды накрыл ураган «Эндрю», относящийся к пятой, самой высокой, категории (ветер сильнее 254 км/ч). Космодрому повезло, он оказался к северу от района максимальных разрушений, но после «Эндрю» все новые строения теперь делают устойчивыми к урагану четвертой категории ( ветер от 200 до 254 км/ч). С учетом этого требования, например, построены стартовые сооружения компании SpaceX.
Конечно же, на мысе Канаверал приняты правила подготовки к приходу урагана. На космодроме установлены четыре уровня ураганной опасности HURCON (Hurricane Conditions):
HURCON IV: Ветер сильнее 80 км/ч ожидается в течение 72 часов. На этом этапе космодром работает в нормальном режиме, люди, указанные в ураганном расписании, выполняют обычные работы, но доступны и для мероприятий по подготовке ко встрече со стихией
HURCON III: Ветер сильнее 80 км/ч ожидается в течение 48 часов. Сотрудники, указанные в ураганном расписании, прекращают обычную работу и начинают готовиться к урагану. Прочие сотрудники могут быть отправлены домой.
HURCON II: До урагана 24 часа. Выделяется специальная аварийная команда примерно из 120 человек.
HURCON I: До урагана 12 часов. Аварийная команда занимает места по расписанию, все прочие покидают космодром, ворота закрываются до окончания буйства стихии.
Сейчас на космодроме наибольшее беспокойство вызывают участки, где ведутся строительные работы. Это мобильная платформа для разрабатываемой ракеты SLS и стартовый комплекс SLC 40, который до сих пор чинит после прошлогоднего взрыва Falcon 9 компания SpaceX. Планировалось, что в районе октября стартовый комплекс 39А переведут на подготовку к первому запуску Falcon Heavy, а пуски Falcon 9 перенесут на SLC 40. Повреждения от урагана могут нарушить этот график.

Мобильная платформа SLS, фото NASA
В прошлый раз космический центр Кеннеди пострадал от урагана «Мэтью» в октябре 2016, и его следы только-только успели устранить. В тот раз на космодроме зафиксировали ветер 130 км/ч и порыв ветра в 219 км/ч. Этого хватило, чтобы нанести ущерб на миллионы долларов.
Пострадал пляжный домик, где астронавты проводили последние часы перед стартом.

Осмотр космодрома после урагана с воздуха, здесь и далее фото NASA
Была повреждена крыша небольшого ангара.

И крыша OSB — офисного здания, где расположены центр документации, библиотека и отделы обработки фотографий.

Когда еще летали шаттлы, на них распространялись погодные ограничения. Шаттл не мог находиться в стартовых сооружениях, если ожидался ветер сильнее 127 км/ч, а его перевозка в здание вертикальной сборки должна была быть завершена до того, как ветер достигнет скорости 74 км/ч и появятся молнии в районе 30 км. Обычно шаттлы начинали эвакуировать со старта за двое суток до урагана, но история знает и необычные решения. В 2006 году, когда к старту готовился шаттл «Атлантис» с миссией STS-115, в направлении космодрома стал двигаться ураган «Эрнесто». Шаттл был уже на полпути в ангар, когда пришла обновленная метеорологическая информация, по которой на космодроме ветер не должен был превысить 127 км/ч. Шаттл развернули и установили обратно в стартовое сооружение, где он благополучно перенес ураган.

Шаттл транспортируют обратно на старт, фото NASA
Самые тяжелые повреждения центр Кеннеди получил в 2004 году, когда в августе и сентябре по нему ударили аж три урагана: «Чарли», «Франсез» и «Джоанна». Заметно пострадало здание вертикальной сборки (VAB), были оторваны больше восьми сотен панелей. Любопытно, что часть из них выпали по плану — они специально сконструированы так, чтобы выпадать, уравнивая давление внутри и снаружи гигантского ангара, повышая этим его прочность.

Фото: NASA
А это здание потом передали SpaceX, в нем готовятся к полету полезные нагрузки.

Фото: Business Insider
В ракетном музее сорвало с постамента ракету Navaho.

Фото: SpaceKSCBlog
Упал макет Mercury-Redstone.

Фото: NASA
Сохранилась документальная съемка повреждений.
К счастью, сейчас вероятность подобных разрушений невелика — по последним данным, ураган «Ирма» отклонился к западу и пройдет в стороне от центра Кеннеди.

Схема: CNN
Автор: Филипп Терехов
