
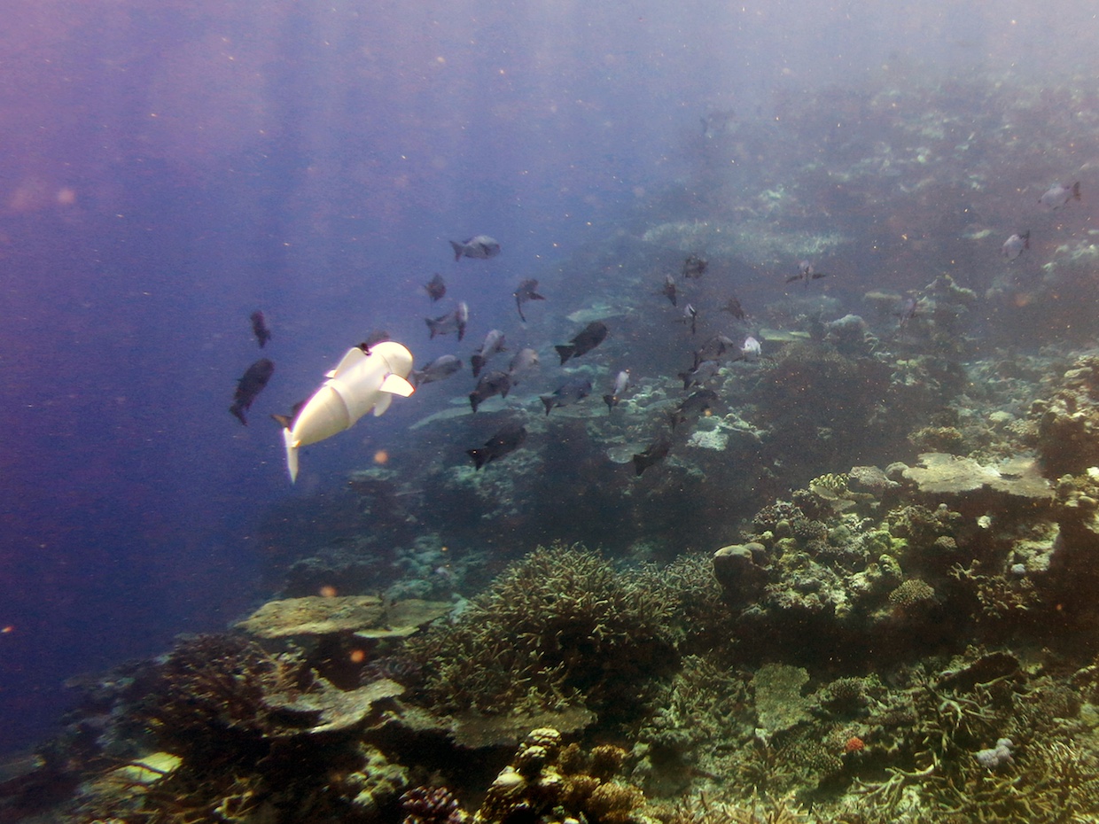
Робототехника постепенно становится все более обширной сферой деятельности. Роботов все больше, их «видовое разнообразие» очень велико. Ученые из MIT решили, что именно роботы практически идеально походят для изучения коралловых рифов. Конечно, роботы могут быть практически любой формы, но в MIT приняли решение сделать свою систему похожей на рыбу.
Сказано — сделано, теперь роботизированная рыба с гибким корпусом исследует экосистему океана около Фиджи. Робот получил название SoFi и это не просто proof-of-concept, а реальное устройство, способное на многое.
Он представляет собой достаточно мощный инструмент, способный изучать коралловые рифы во всем их многообразии. При этом в режиме автономной работы система может находиться достаточно долгое время.
Управляет рыбой оператор, робот не может сам принимать решения, работая в полностью автономном режиме. Управление осуществляется при помощи игрового контроллера, взаимодействует же контроллер с устройством благодаря ультразвуку. Батареи хватает примерно на 40 минут работы системы, чего вполне достаточно для детального обследования определенных участков дна.
Двигается роботизированная рыба примерно так же, как обычная, совершая аналогичные решения. Хвост «рыбы» совершает примерно одно колебание в секунду, при этом задействована достаточно хитрая система. Глубина, на которой может находиться рыба без вреда для себя достигает 18 метров.
Фиджи были выбраны учеными потому, что экосистемы здесь необычайно богаты, здесь находят приют тысячи видов живых организмов. Само собой, проходит тестирование и робот, который все же представляет собой новую разработку. Ей, как и всем, необходима обкатка.

На момент написания материала роботизированная рыба провела в работе около трех дней. За это время она совершила шесть погружений, общей продолжительностью в 240 минут. Оператор, который управляет роботом, плывет за «рыбой» примерно в 10 метрах. В дальнейшем управление будет совершаться, возможно, из других мест. Сейчас же, поскольку система проходит отладку, было решено ничего не усложнять, а попробовать управлять рыбой из ее «родной» среды. Кстати, SoFis не пугает рыбу и других живых существ рифа так что робота можно использовать для научно-исследовательских работ, основная цель которых — проводить изучение моря или океана в максимально реалистичных условиях. Пока что это лишь рабочий прототип, вероятно, вскоре ученые усовершенствуют «рыбку» таким образом, чтобы вместе с ней не приходилось плавать и оператору.
Роботы уже давно используются для изучения морей и океанов. Например, японцы запустили робота Wave Glider в воду для того, чтобы отслеживать появление цунами. Они достаточно частое явление в этом регионе. Система оснащена гидрофоном, камерой и модулем связи, который позволяет роботу держать связь со спутником. Энергию Wave Glider получает от энергии волн и солнечной энергии. Это позволяет роботу месяцами находиться в воде, поскольку обычное топливо ему не нужно.
В 2015 году океанологи стали использовать роботов для борьбы с морскими звездами вида Acanthaster planci. Они очень быстро размножаются, а едят — полипы кораллов. За год одна звезда может съесть около 13 квадратных метров полипов. Рыбы, которые питаются морскими звездами, не успевают уничтожать их популяцию в нужном количестве, поскольку люди отлавливают рыб. В результате кораллы стали массово гибнуть. В 60-х годах именно из-за Acanthaster planci погибло большое количество кораллов на территориях островов Гуам и Фиджи.

Так вот, что для того, чтобы осуществлять успешную борьбу с морскими звездами, австралийские ученые из Технологического университета Квинсленда создали робота COTSBot (Crown-Of-Thorns Starfish robot). Он представляет собой торпедообразный 30-килограммовый аппарат, который развивает скорость вплоть до 2 м в секунду. В режиме автономной работы он способе функционировать около 6 часов.
Ну а с морскими звездами он борется, впрыскивая им яд, смертельный для животного. Небольшая флотилия таких роботов способна разредить коралловый риф достаточно быстро.
Автор: Максим Агаджанов
